Description
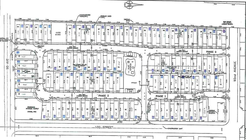
New Home Subdivision For Sale in Lac La Biche. 7 acres total in this parcel which makes the phase 2, phase 3 of "the Meadows" new home subdivision. 56 non-registered serviced lots. "The Meadows". is made up of a total 73, 35 ft. wide lots. centrally located in Lac La Biche County. with 75% of phase one SOLD. 7 of the homes are 20 wide manufactured homes with the rest of phase 1 zoned for narrow lot homes. This is the perfect affordable new home subdivision is close to schools and hospital and amenities. A brand new playground was installed, roads are paved with street lights and gutters. Bare land condominium with by-laws in place to help keep those values up and remain a desirable place to live. This almost turn key subdivision is ready for a new developer to build affordable housing with attractive single family dwellings. The price point of these homes competes with no other subdivisions in the Lac La Biche County.
-
0BEDS
-
N/AACRES
-
0BATHS
-
01/2 BATHS
Description
New Home Subdivision For Sale in Lac La Biche. 7 acres total in this parcel which makes the phase 2, phase 3 of "the Meadows" new home subdivision. 56 non-registered serviced lots. "The Meadows". is made up of a total 73, 35 ft. wide lots. centrally located in Lac La Biche County. with 75% of phase one SOLD. 7 of the homes are 20 wide manufactured homes with the rest of phase 1 zoned for narrow lot homes. This is the perfect affordable new home subdivision is close to schools and hospital and amenities. A brand new playground was installed, roads are paved with street lights and gutters. Bare land condominium with by-laws in place to help keep those values up and remain a desirable place to live. This almost turn key subdivision is ready for a new developer to build affordable housing with attractive single family dwellings. The price point of these homes competes with no other subdivisions in the Lac La Biche County.
Data is supplied by Pillar 9™ MLS® System. Pillar 9™ is the owner of the copyright in its MLS® System. Data is deemed reliable but is not guaranteed accurate by Pillar 9™. The trademarks MLS®, Multiple Listing Service® and the associated logos are owned by The Canadian Real Estate Association (CREA) and identify the quality of services provided by real estate professionals who are members of CREA. Used under license. Data last updated: 2026-01-24T01:58:16.787.
